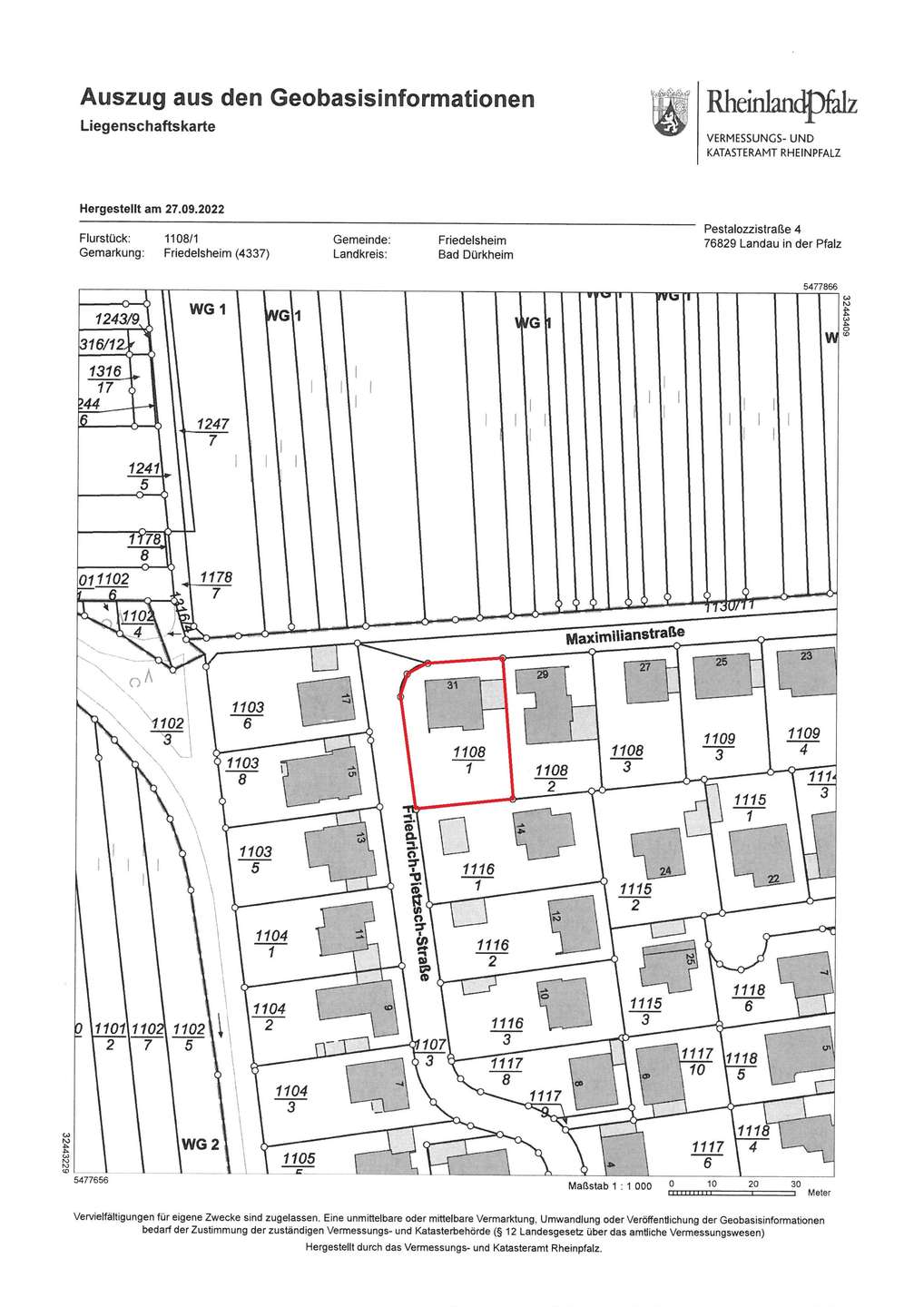
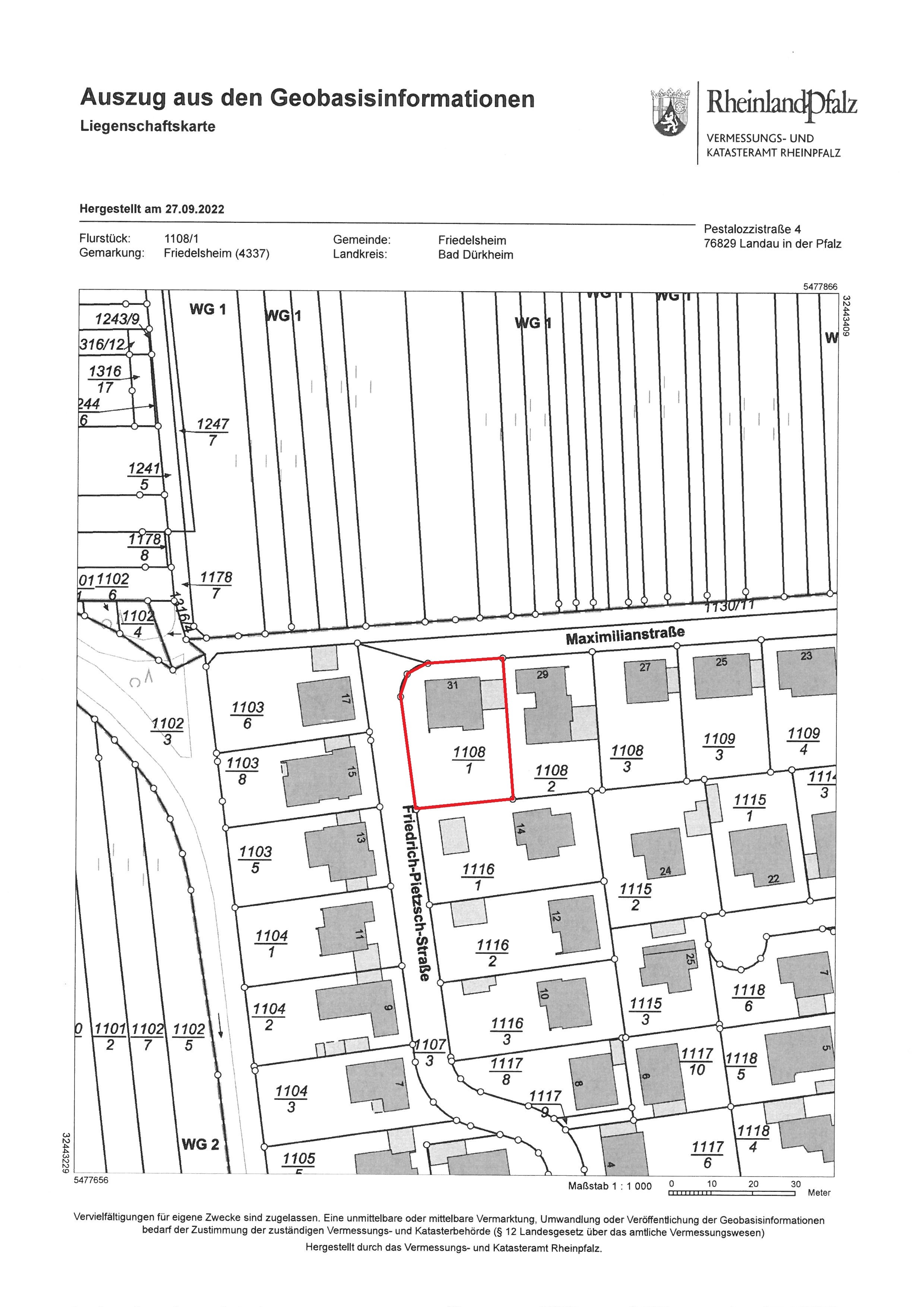
Friedelsheim

Klassiker am Weinberg – Machen Sie ein Schmuckstück daraus!

#2429

In einem ruhigen Wohnquartier in herrlicher Weinberglage von Friedelsheim und hervorragender Anbindung an die Metropolregion Rhein-Neckar, bietet Ihnen dieses 1978 individuell geplante Einfamilienhaus auf einem 809 qm großen Sonnengrundstück mit 6,5 Zimmern und ca. 175 qm Wohnfläche auf 2 Ebenen im Erd- und Dachgeschoss, Platz für die ganze Familie.

Für Homeoffice und Gäste gibt es alternative Möglichkeiten sowie Ausbaureserve im Dachgeschoss. Ein Kellergeschoss mit viel Platz für Hobbys, Wirtschaftsraum sowie Stau- und Nutzfläche runden das Angebot ab. Das Raumkonzept mit fünf Schlafzimmern und zwei Bädern begeistert vor allem durch das großzügige und helle Wohn- und Kaminzimmer mit schönem Blick in den nahezu uneinsehbaren Sonnengarten. Die Doppelgarage am Haus verfügt zudem über einen Zugang zum Garten.

Da große Grundstücke in direkter Wingertlage heute so gut wie gar nicht mehr zu finden sind, verlockt dieses „Dornröschenhaus“ in anspruchsvoller Nachbarschaft mit seiner großzügigen Struktur geradezu bilderbuchmäßig dazu, „wachgeküsst“ und nach den eigenen Wünschen in ein persönliches Traumhaus modernisiert zu werden.

Weitere Details erfahren Sie gerne auf persönliche Anfrage!

Eckdaten

  • Objekt
    Haus
  • Objektart
    Einfamilienhaus
  • Baujahr
    1978
  • Grundstück
    809 m²
  • Wohnfläche
    175 m²
  • Nutzfläche
    74 m²
  • Zimmer
    6,5
  • Schlafzimmer
    5
  • Badezimmer
    2
  • Gäste-WC
    Ja
  • Einbauküche
    Ja
  • Garten
    Nein
  • Keller
    Ja
  • Stellplatz
    1
  • Stellplatztyp
    Außenstellplatz
  • Zustand
    renovierungsbedürftig
  • Bezugstermin
    sofort frei

Preis

  • Immobilie
    Preis auf Anfrage
  • Käuferprovision
    3,57 % inkl. MwSt.

Lagebeschreibung

Der Edelweinort Friedelsheim zählt ca. 1600 Einwohner und liegt zwischen Ludwigshafen/Mannheim und Kaiserslautern, am Rande des HaardtGebirges, eines Ausläufers des Pfälzer Waldes. Umgeben vom Rebenmeer des Qualitätsweinbaugebiets „Mittelhaardt“, eines Teilbereichs der „Deutschen Weinstraße“ Das mediterrane Klima der Region lässt außer Wein auch andere südländische Pflanzen und Früchte gedeihen. Hier zu Wohnen garantiert nicht nur ein wohltuendes ruhiges Umfeld, sondern zusammen mit den Nachbarorten Bad Dürkheim, Wachenheim, Deidesheim, Forst oder Neustadt an der Weinstraße auch eine perfekte Infrastruktur für alle Besorgungen des täglichen Bedarfs. Kitas, Schulen, Sportvereine, vielseitige Freizeitangebote sowie urige Weinstuben und gute Gastronomie zum Entspannen und Genießen sind umfangreich vorhanden. Ein gut ausgebautes Straßennetz , kurze Zufahrtswege zur Schnellstraße B271, zu den Autobahnen A650 , A65 un d A61 schafft schnelle Anbindungen zur Metropolregion Rhein-Neckar, die Süd- und Westpfalz sowie ins angrenzende Baden-Württemberg.

Suchprofil erstellen

Dieses Objekt ist bereits reserviert.
Wenn Sie ein Suchprofil erstellen, können wir Sie kontaktieren, sobald ein passendes Objekt verfügbar ist.

Sie sehen gerade einen Platzhalterinhalt von Google reCAPTCHA. Um auf den eigentlichen Inhalt zuzugreifen, klicken Sie auf den Button unten. Bitte beachten Sie, dass dabei Daten an Drittanbieter weitergegeben werden.

Weitere Informationen
Eine junge Frau mit lockigem Haar lächelt in die Kamera. Sie trägt einen beigen Blazer und ein weißes Top. Im Hintergrund ist ein historisches Gebäude unscharf zu sehen. Das ist Britta Schentke-Becker.
Über unseren IMMOBILIEN NEWSLETTER werden Sie regelmäßig über unseren aktuellen Angebote informiert

Anna Brock, Assistentin der Geschäftsführung

Kontakt

Sie möchten einen Termin zur Wertermittlung Ihrer Immobilie vereinbaren, Ihre Wunschimmobilie in unserer Kartei hinterlegen, oder haben ein Anliegen das den persönlichen Kontakt erfordert – Bitte kontaktieren Sie uns.

Mannheim

Deidesheim

Sie sehen gerade einen Platzhalterinhalt von Google reCAPTCHA. Um auf den eigentlichen Inhalt zuzugreifen, klicken Sie auf den Button unten. Bitte beachten Sie, dass dabei Daten an Drittanbieter weitergegeben werden.

Weitere Informationen